Home Nach oben Artenverzeichnis Familien Bestimmung Exkursionen Hilfe

Artemisia - Pflanze größer 30 cm, Blätter gefiedert oder fiederteilig, Blattabschnitte breit, oberseits kahl

 

1      Fiedern der oberen Stängelblätter ganzrandig

 

2       Fiedern der oberen Stängelblätter tief gesägt

Köpfchen eiförmig, filzig behaart
Häufige Ruderalpflanze
> 3

Köpfchen kugelig, kahl
Seltene Neophyten
> 4


Photo und copyright Julia Kruse

 

3      Köpfchen eiförmig, filzig behaart


Gewöhnlicher Beifuß
(Artemisia vulgaris
L.)

VII - IX, Ruderalstellen, Ufer, Gebüsche (0 - 1000 m)
               Reisensburg, Erdbeersee, Bayern 441 m. ü.M (0.08.2008)

Synonyme:
Artemisia coarctata Forselles, Absinthium vulgare Dulac.; Artemisia affinis Hassk.; Artemisia apetala Hort. Pest. ex Steud.; 

English name:
Riverside Wormwood, Common Mugwort

Nom francais:
Armoise vulgaire

Nome italiano: 
Assenzio selvatico

Verbreitung in Deutschland:
Flächendeckend verbreitet

Gefährdung in Deutschland:
Deutschland: nicht gefährdet, Baden-Württemberg: nicht gefährdet, Bayern: nicht gefährdet, Berlin: nicht gefährdet, Brandenburg: nicht gefährdet, Hamburg: nicht gefährdet, Hessen: nicht gefährdet, Mecklenburg-Vorpommern: nicht gefährdet, Niedersachsen: nicht gefährdet, Nordrhein-Westfalen: nicht gefährdet, Rheinland-Pfalz: nicht gefährdet, Saarland: nicht gefährdet, Sachsen: nicht gefährdet, Sachsen-Anhalt: nicht gefährdet, Schleswig-Holstein: nicht gefährdet, Thüringen: nicht gefährdet 

Weltweite Verbreitung:
Austria, Germany, Switzerland, 
Portugal, Spain, Andorra, France, Corsica, Sardinia, Italy, Slovenia, Croatia, Bosnia-Hercegovina, Serbia & Kosovo, Montenegro, Macedonia, Albania, Greece (Sterea Ellas, S- Pindos, N- Pindos, E- Central, N- Central, N- East), Ionian Isl., N- Aegean Isl., E-Aegean Isl., 
England, Channel Isl., Ireland, Northern Ireland, Norway, Sweden, Finland, Denmark, Netherlands, Belgium, Luxembourg, Liechtenstein, Poland, Czech Republic, Slovakia, Hungary, Romania, Bulgaria, European Turkey, Algeria, Tunisia, Estonia, Latvia, Lithuania, Kaliningrad region, Belarus, Moldova, Ukraine, Crimea, NEuropean Russia, N-Caucasus, Transcaucasus, Siberia, C-Asia, Turkey, Iran, China, Afghanistan, Japan, Mongolia, 

Eingebürgert in:
*Costa Rica, *Haiti, *Java, *Fiji, *Christmas Isl. (Austr.), *Thailand, *Micronesia (*Ulithi, *Woleai, *Satawal), *Northern Marianas (*Agrihan, *Anatahan), *Palau Isl., *Southern Marianas (*Guam), *Hawaii (*Kauai, *Oahu, *East Maui, *Hawaii Isl.), Burma (Kachin, Mandalay, Mon, Shan), *Greenland, *Canada, *USA

Etymologie:
- Artemisia: benannt nach der griechischen Göttin Artemis
- vulgaris: gewöhnlich

 

 

 

Pflanze 60 - 250 cm groß
unangenehm riechend, ohne unterirdische Ausläufer 
(keine Kolonien), Blütezeit Juli - September

Blütenstand rispig, mit langen Seitenästen, mit zahlreichen Blütenköpfchen

Blütenköpfchen weißlich-grau, 

Blüten gelblich gelblich oder rotbraun, 2,5 - 3,8 mm lang

Äußere Hüllblätter eiförmig, filzig

Blüten gelb oder rötlich

Hochblätter ganzrandig, lanzettlich

Fiedern der oberen Stängelblätter tief gesägt
Endfieder selten länger als 4 cm

Blattunterseite graufilzig

 

 

4       Köpfchen kugelig, kahl

Blätter einfach gefiedert, meist gelbgrün
mit langen, scharf gesägten Fiederabschnitten
> 5


Photo und copyright Thomas Muer

Blätter 2 - 3- fach regelmäßig kammförmig gefiedert, Fiederchen stehen im 90 °- Winkel
> 6


Photo und copyright Michael Hassler

Blätter 2- 3 fach unregelmäßig gefiedert
Fiederchen stehen meist nicht im 90°- Winkel
> 7

 

5     Blätter einfach gefiedert, mit langen, scharf gesägten Fiederabschnitten


Zweijähriger Beifuß
(Artemisia biennis
Willd.)


Photo und copyright Matt Lavin, Montana State University

VII - IX, Ruderalstellen, Flussufer, Häfen
                Wittenberge, Elbufer (Oliver Heyers 19.09.2020)
                Bozeman, Montana (Matt Lavin 17.09.2012)

Synonyme:
Artemisia biennis var. diffusa R.D. Dorn

English name:
Biennial Wormwood

Nom francais:
Armoise bisanuelle

Nome italiano: 
Assenzio bienne

Verbreitung in Deutschland:
Stellenweise eingebürgerter Neophyt 
(entlang der mittleren Elbe; ansonsten lokal (z. B. nördl. Ruhrgebiet, um Leipzig, Hannover), am westlichen Bodensee in Ausbreitung begriffen

Gefährdung in Deutschland:
Nicht anwendbar

Weltweite Verbreitung:
China, Tibet, Afghanistan, Kazakhstan, Mongolia, Caucasus, Iran, Turkey, Turkey, Iran, Jammu & Kashmir, India, Sikkim, Nepal, Pakistan, Pakistani Kashmir, Canada, Alaska, USA

Eingebürgert in:
*Germany, *Switzerland, 
*Portugal, *Spain, *France, *Italy (nur Friaul), 
 *England, *Ireland, *Denmark, *Netherlands, *Belgium, *Norway, *Finland, *Poland, *Czech Republic, *Latvia, *Ukraine, Russia

Etymologie:
- Artemisia: benannt nach der griechischen Göttin Artemis
- biennis: zweijährig

 


 

 

Pflanze 30 - 100 cm groß, meist gelbgrün
 +/- kahl, ohne nicht blühende Triebe, schwach aromatisch


Photo und copyright Oliver Heyers "Garibaldi"

Körbe in schmaler Doppeltraube oder Rispe


Photo und copyright Matt Lavin, Montana State University

Köpfchen kahl, fast sitzend, aufrecht, 2,5 - 3 mm im Durchmesser


Photo und copyright Oliver Heyers "Garibaldi"

Hüllblätter schmal hautrandig


Photo und copyright Matt Lavin, Montana State University

Stängel rundlich, kahl


Photo und copyright Matt Lavin, Montana State University

Stängelblätter einfach fiederschnittig, mit langen, scharf gesägten Fiederabschnitten, Zähne weit voneinander entfernt


Photo und copyright Matt Lavin, Montana State University

 Blattrhachis ganzrandig, 


Photo und copyright Thomas Muer

oder Blattrhachis spärlich gezähnt


Photo und copyright Matt Lavin, Montana State University

 

 

6     Blätter 2 - 3- fach regelmäßig kammförmig gefiedert  oder fiederschnittig, Fiederchen stehen im 90 °- Winkel


Schlitzblättriger Beifuß
(Artemisia laciniata
Willd.)


Photo und copyright Michael Hassler

VIII - X, Salzwiesen, Solgräben
                Shebalinsky, Altai, Russland
(Marina Roshkanyuk 17.08.2010)

Synonyme:
Artemisia libanotis Bieb. ex Bess.; Artemisia macrobotrys Ledeb.; Artemisia macrophylla Fisch. ex Bess.

English name:
Siberian Wormwood

Verbreitung in Deutschland:
Altfunde Z-Sachsen-Anhalt 

Gefährdung in Deutschland:
Deutschland: 0 (ausgestorben), 
Hamburg: unbeständig, Sachsen-Anhalt: 0 (ausgestorben), Thüringen: 0 (ausgestorben) 

Weltweite Verbreitung:
Austria, +Germany
(Altfunde im Artener Solgraben)
Czech Republic, Sweden, 
Russia, Mongolia, Kyrgyzstan, Tajikistan, Japan
USA, Alaska, Canada

Etymologie:
- Artemisia: benannt nach der griechischen Göttin Artemis
- laciniata: geschlitzt, zerteilt


 

 

 


 

 

Pflanze 10 - 50 cm groß
 +/- behaart, am Grund mit nichtblühenden Trieben, geruchlos

Photo und copyright Marina Roshkanyuk

Gesamtblütenstand schmal rispig, mit kurzen Ästen

Köpfchen ± kugelig, 3 - 4 mm Durchmesser, fast sitzend, Röhrenblüten gelb


Photo und copyright Michael Hassler

Hüllblätter breit hautrandig

Blätter in 6 - 9 rechtwinklig zur Blattachse stehenden Fiederpaaren, fast kahl, untere 2- fach gefiedert, am Grund ohne Öhrchen, Blattzipfel lanzettlich, 1-1,5 mm breit


Photo und copyright Michael Hassler

 

 

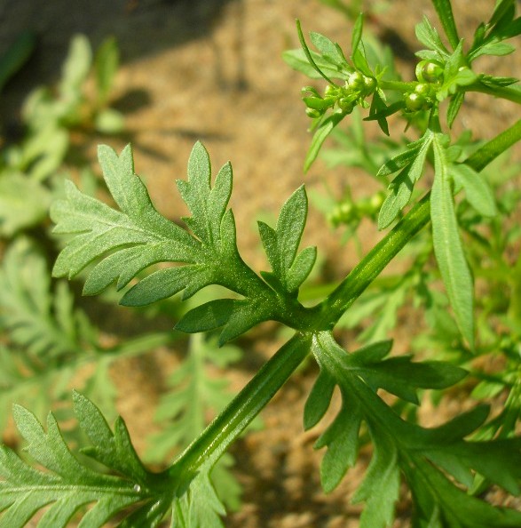
7     Blätter 2- 3 fach unregelmäßig gefiedert oder fiederschnittig, Fiederchen stehen meist nicht im 90°- Winkel

Pflanze nicht säulenförmig wachsend, Köpfchen lang gestielt, nickend
Blattrhachis ohne Lappen zwischen den Hauptabschnitten der Blätter
> 8


Photo und copyright Julia Kruse

Pflanze säulenförmig wachsend, Köpfchen fast sitzend, aufrecht
Blattrhachis mit kleinen Lappen zwischen den Hauptabschnitten der Blätter
> 9


Photo und copyright Martina Sojneková

 

8      Köpfchen lang gestielt, nickend


Einjähriger Beifuß
(Artemisia annua
L.)

VIII - X, Ruderalstellen, Ufer (0 - 500 m)
               St-Maries-de-la-Mer, Bouches-du-Rhône, Frankreich, 5 m ü.M. (18.08.2014)

Synonyme:
Artemisia chamomilla C. Winkler; Artemisia exilis Fisch. ex DC.; Artemisia hyrcana Spreng.; Artemisia plumosa Fisch. ex Bess.; Artemisia stewartii C. B. Clarke; Artemisia suaveolens Fisch.; Artemisia wadei Edgew.

English name:
Sweet Wormwood

Nom francais:
Armoise annuelle

Nome italiano: 
Assenzio annuale

Verbreitung in Deutschland:
Stellenweise eingebürgerter Neophyt
Sachsen-Anhalt und entlang Elbe zerstreut bis mäßig häufig, restliches Gebiet Einzelfunde 

Gefährdung in Deutschland:
Deutschland: nicht gefährdet, Baden-Württemberg: unbeständig, Bayern: unbeständig, Berlin: unbeständig, Brandenburg: unbeständig, Hamburg: nicht gefährdet, Mecklenburg-Vorpommern: unbeständig, Niedersachsen: nicht gefährdet, Nordrhein-Westfalen: unbeständig, Sachsen: nicht gefährdet, Sachsen-Anhalt: nicht gefährdet, Schleswig-Holstein: unbeständig, Thüringen: nicht gefährdet 

Weltweite Verbreitung:
Croatia, Bosnia-Hercegovina, Serbia & Kosovo, Montenegro, Macedonia, Albania, Greece,
Romania, Bulgaria, Turkey, Estonia, Latvia, Lithuania, Belarus, Moldova, Russia, Ukraine, Crimea, Turkestan, China, Taiwan, Tibet, Mongolia, Cyprus, Iran, Syria, Afghanistan, Pakistan

Eingebürgert in:
*Austria, *Germany, *Switzerland, 
*Spain, *France, *Corsica, *Sicily, *Italy, *Slovenia, 
*England, *Denmark, *Belgium, *Liechtenstein, *Poland, *Czech Republic, *Slovakia, *Hungary,  *Japan, Java, *Peru Andes, *Argentina, *Burma, *Jammu & Kashmir, *Canada, *USA

Etymologie:
- Artemisia: benannt nach der griechischen Göttin Artemis
- annua: einjährig

Verwendung:
Artemisia annua findet bei der Behandlung von Malaria, Blähungen, Durchfall, Erkältungen, Fieber, Krebs und  Menstruationsbeschwerden Verwendung und wird in China schon seit 2000 Jahre als Heilpflanze genutzt


 

 

Pflanze 50 - 200 cm groß,
nicht säulenförmig, beim Zerreiben aromatisch riechend

Blüten in reich verzweigter Rispe


Photo und copyright Julia Kruse

Blütenköpfe kugelig, nickend, > 2 mm


Photo und copyright Julia Kruse

Röhrenblüten gelb


Photo und copyright Kristian Peters (GFDL)

Stängel +/- kahl, deutlich gerillt

Blätter fein 2 - 3 fach gefiedert, Fiederchen staubgrau, kahl
meist nicht im 90°- Winkel abstehend

Endabschnitte fiederspaltig oder ganzrandig


Photo und copyright Julia Kruse

Zwischen den Hauptabschnitten der Blätter ohne kleine Lappen


Photo und copyright Julia Kruse

Untere Blätter zur Blütezeit abgestorben

 

 

9       Köpfchen fast sitzend, aufrecht


Armenischer Beifuß
(Artemisia tournefortiana
Rchb.)


Photo und copyright Thomas Muer

VIII - X, Ruderalstellen, Mittelstreifen von Autobahnen
                Autobahn A 63 bei Sembach, Rheinland- Pfalz (Michael Hassler 01.10.2021)
                Leipzig, Alte Mülldeponie (Thomas Muer 17.04.2018)

Synonyme:
Artemisia armeniaca Willd. ex Ledeb.

English name:
Armenian Wormwood

Nome italiano: 
Assenzio di Tournefort

Verbreitung in Deutschland:
Breitet sich entlang der Autobahnen aus (u. a.NI, ST, SN und TH). Neuerdings mehrfach in der Pfalz (A 6, A 61, A 63) und in BW. Siehe auch: "Artemisia tournefortiana als neue Autobahnpflanze"

Gefährdung in Deutschland:
Deutschland: nicht gefährdet, Baden-Württemberg: unbeständig, Hamburg: unbeständig, Mecklenburg-Vorpommern: unbeständig, Niedersachsen: unbeständig, Sachsen: nicht gefährdet 

Weltweite Verbreitung:
Turkey, Iran, Afghanistan, Armenien

Eingebürgert in:
*Germany,
*Portugal, *Italy (nur Friaul), 
*Ukraine, *Latvia

Etymologie:
- Artemisia: benannt nach der griechischen Göttin Artemis
- tournefortiana: benannt nach Joseph Pitton de Tournefort (1656 - 1708), französischer Botaniker

In der Flora Gallica als Synonym von Artemisia biennis! Gilt aber meist als eigene Art

 

 

 

 

Pflanze 100 - 300 cm groß
 säulenförmig wachsend, +/- kahl, ohne nicht blühende Triebe, geruchlos


Photo und copyright Michael Hassler

Blüten in schmaler Doppeltraube oder Rispe, endständig oder aus den Achseln der Blätter entspringend, Köpfchen fast sitzend, aufrecht, 2,5 - 3 mm im Durchmesser


Photo und copyright Thomas Muer

Hüllblätter breit hautrandig, mit schmaler grüner Mittelrippe


Photo und copyright Martina Sojneková

Stängelblätter 2-fach fiederteilig, ihre Endabschnitte länglich- elliptisch,
Blatthachis mit kleinen Lappen zwischen den Hauptabschnitten der Blätter


Photo und copyright Martina Sojneková