Home Nach oben Artenverzeichnis Familien Bestimmung Exkursionen Hilfe

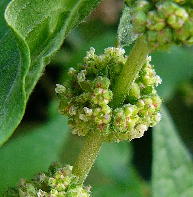
Krautige Pflanzen, Blüten grünlich, in blattachselständigen Knäueln, Fruchtknäuel grün, nicht drüsig, 
Stängel beblättert, Blätter flächig, wechselständig, ohne Nebenblätter

Stängel vom Grund an verzweigt, niederliegend oder aufrecht
Blätter ganzrandig oder vorne ausgerandet, oft kraus
Vorblätter spitz, oft länger als das Perigon
> Fuchsschwanz (Amaranthus)

Stängel unverzweigt, aufrecht
Blätter ganzrandig, vorne nicht ausgerandet, nicht kraus
Vorblätter stumpf kürzer oder länger als das Perigon

> Glaskraut (Parietaria)